| 価格 | 4,088万円 ![]() |
||||
|---|---|---|---|---|---|
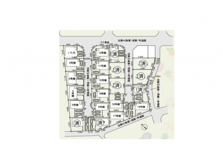
| 所在地 | 千葉県成田市中台6丁目
この地域周辺の物件を見る |
土地面積 | 150.16m² (45.42坪) | 建物面積 | 101.25u |
| 築年月 | 2026年6月築 | 間取り | 4LDK (-) | ||
| 交通 |
JR成田線 成田 徒歩20分
京成本線 京成成田 徒歩23分 |
||||
電話をかける(携帯・PHS可)
0120-000-973
「ホームページを見た」とお伝え下さい。
お問い合わせ番号をお伝えください
RHS-991010641
| 特徴 |
|
|---|---|
| セールスコメント |
| 採光面 | - | 構造/階数 | 木造/地上2階建 |
|---|---|---|---|
| 建ぺい率 | 70(%) | 容積率 | 200(%) |
| 駐車場 | 有 | 現況/引渡し | -/2026年7月上旬 |
| 土地権利 | 所有権 | 私道負担面積 | - |
| 接道状況 | 接道: 北東 公道 道路幅: 7.5m 接道: 北西 公道 道路幅: 6m |
用途地域 | 第一種中高層住居専用地域
|
| セットバック | なし | 法令上の制限 | 宅地造成工事規制区域,建蔽率:角地緩和 法第22条区域 道路斜線制限 隣地斜線制限 北側斜線制限 建物面積に別途ルーフバルコニー約9.72平米有り |
| 地目 | 宅地 | 地勢 | 平坦 |
| 建築確認番号 | 第KBI-SGM25-10-5497号 | 都市計画 | 市街化区域 |
| 取引態様 | 仲介 | ||
| 情報更新日 | 2026年05月18日 | 次回更新日 | 2026年06月01日 |
| 小学校区 | 成田市立向台小学校 (千葉県成田市) この学区の他の物件を見る |
中学校区 | 中台中学校 (千葉県成田市) この学区の他の物件を見る |
|---|
電話をかける(携帯・PHS可)
0120-000-973
「ホームページを見た」とお伝え下さい。
お問い合わせ番号をお伝えください
RHS-991010641
| 価格 | 万円 | ||
|---|---|---|---|
| 年利率 | % |
||
| ボーナス払い | 返済年数 | ||
| 頭金 | 直接入力する | 万円 | |

毎月のご返済額 |
ボーナス(×年2回) |
物件価格4,088万円 |
![]() |
![]() |
成田市中台6丁目
4088万円〜4488万円 |
電話でお問い合わせ
MEマイホーム計画京葉株式会社
|
電話をかける 0120-000-973 ※「ホームページを見た」とお伝えください。 |
お問い合わせ番号をお伝えください RHS-991010641 |
|---|
-